3304 Saint Kilda Rd
Sanibel Fl 33957

$739,000

  •  alt=
  •  alt=
  •  alt=
  •  alt=
  •  alt=
  •  alt=
  •  alt=
  •  alt=

Would you like more information?
  • This field is for validation purposes and should be left unchanged.
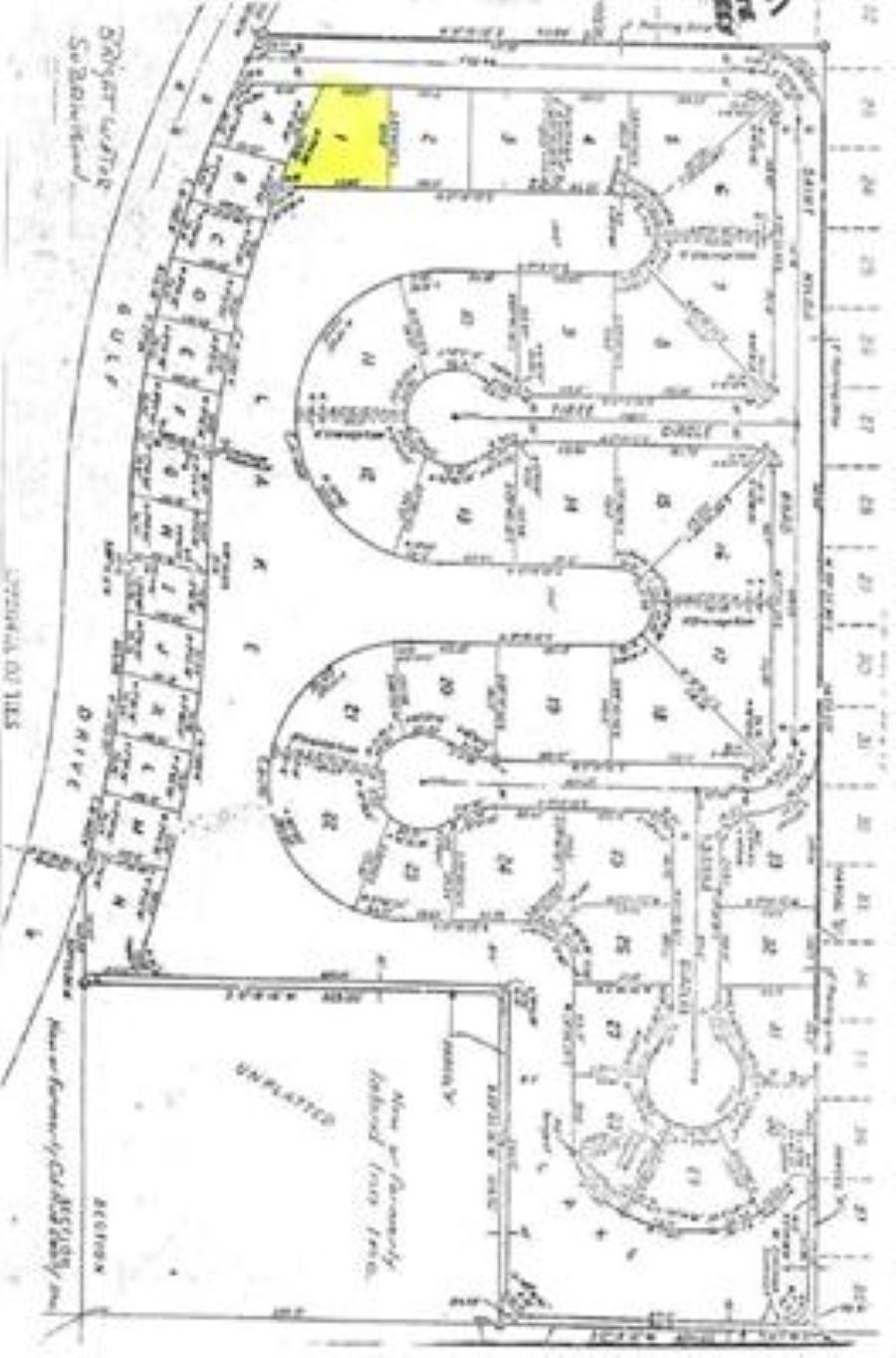
Your Rare Chance to Build on Sanibel€™s West Gulf Drive! This is a rare opportunity to secure a premier buildable lot in one of Sanibel€™s most desirable locations just off of West Gulf Drive. With its G Altered Land designation, the property allows for Sanibel€™s maximum building footprint, giving you the freedom to create a residence that makes the most of its breathtaking setting. Enjoy 142+/- feet of tranquil lake frontage, alive with native wildlife, and design outdoor living spaces that capture the island€™s refreshing Gulf breezes and the soothing sounds of waves along the shore. With thoughtful planning, you can even frame views of the shell-strewn beaches and turquoise Gulf waters that have made Sanibel world-renowned. The location adds even more appeal: a natural vegetation buffer ensures privacy, while the shared-use path just outside the community connects you quickly to all sides of the island. Stroll or bike to nearby restaurants, shops, and the future Bailey€™s Center. You€™ll also be within easy reach of Rabbit Road, the new Rabbit Road Center offerings, Ding Darling Wildlife Refuge, the Sanibel Recreation Center, and the iconic Shell Museum. Best of all, enjoy deeded beach access directly across the street. At one of the island€™s best values, this lot offers the chance to bring your dream home to life€”perfectly positioned to embrace the best of Sanibel living.

3304 Saint Kilda Rd
Sanibel Fl 33957

$739,000

  • Lee County
  • Date updated: 12/12/2025

Features

Lot Size: 0.33 acres
Pool:
  • 0
Roof:
  • Tile
Property Type: Vacant Land
Subdivision:
  • Brightwater
Taxes: $6,777

SANCAP #2250839

Listing Courtesy Of: Evan duPont, Michael Saunders & Company

The MLS listing data sources are listed below. The MLS listing information is provided exclusively for consumer's personal, non-commercial use, that it may not be used for any purpose other than to identify prospective properties consumers may be interested in purchasing, and that the data is deemed reliable but is not guaranteed accurate by the MLS.


Properties marked with the FGCMLS are provided courtesy of The Florida Gulf Coast Multiple Listing Service, Inc.

Properties marked with the SANCAP are provided courtesy of Sanibel & Captiva Islands Association of REALTORS®, Inc.